![]() |
| 沖縄慶良間諸島編 '05.11.11 |
| 秋も深まった2005年の11月。大腸にポリープがあるというので、手術することになったが、その前に沖縄慶良間で今シーズン最後のダイブを決行した。バディはいつものように、青木さんである。 あいにく、快晴というわけにはいかず、曇り空で時々強いスコールが襲った。風も強く最初の北谷町のビーチダイブは、強い波でエキジットが苦手な私は大変に苦労した。 翌12日はいよいよクルーザーで慶良間へ。30人乗りの高速艇で約1時間の快適なクルージングだ。26人のダイバーの内、22人が20代の若い女性。4人が男性だが平均年令は50才と、いづれもいいおっちゃんだ。このギャップはなんだか不思議だなあ。 3日目の13日の日曜日は、若いギャルに替わって、アメリカ軍の連中が10人ほど乗ってきた。我々の2倍ほどのでっかいタンクを軽々と背負い、飛び込んでいった。しかし、30分もすると上がってきた。彼らはものすごくエアの大食いなんだそうだ。それにしても迫力満点、さすがだなあと思った。 |
![]() |
| 北谷町から慶良間方面を望む。 今日帰るという14日は、皮肉なことに素晴らしい青空。もう1日いたくなった。 |
![]() |
![]() |
| 30人乗りのクルーザーと私 | ご機嫌の青木さん |
![]() |
![]() |
| ヒメオニオコゼ 見えるかなあ。砂と同化している。 |
イッテンチョウチョウウオ 頭と尾の黒い縞と、背中の1点が特徴。 |
| pentax *istD F5.6 1/90 iso200 | pentax *istD F5.6 1/45 iso200 |
![]() |
![]() |
| ハマクマノミ このクマノミは気が強くて、指を咬みに来る。 |
カクレクマノミ おなじみのニモ。三筋の縞がかわいい。 |
| pentax *istD F5.6 1/30 iso200 | pentax *istD F5.6 1/45 iso200 |
![]() |
| チンアナゴを狙う青木さん 砂から顔を出しているチンアナゴを撮ろうと慎重に近づく青木さん。 |
| pentax *istD F5.6 1/45 iso200 |
![]() |
![]() |
| オジロスズメダイ 真っ青な海に乱舞する。 |
ヤマブキベラ 頭部が鮮やかな虹色。 |
| pentax *istD F5.6 1/30 iso200 | pentax *istD F5.6 1/30 iso200 |
![]() |
![]() |
| クロスズメダイ | ナミスズメダイ |
| pentax *istD F5.6 1/45 iso200 | pentax *istD F5.6 1/150 iso800 |
![]() |
| ヒレグロベラ(マリンフォト誌2006年2月号入選) 悠々と泳いでいた。流し撮りが見事決まった。 |
| pentax *istD F5.6 1/30 iso200 |
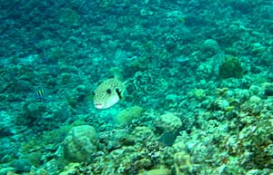
![]() |
![]() |
| サザナミフグ 好奇心旺盛でカメラに向かってくる。 |
ロクセンスズメダイ 身体に4本、尾に2本の縞がある。 |
| pentax *istD F5.6 1/45 iso200 | pentax *istD F5.6 1/60 iso800 |
![]() |
| オヤビッチャ 身体の縞が4本で尾が白い。背ビレが少し黄色がかる。 尾に黒い縞が入るとロクセンスズメダイ。このふたつは大きさも姿もそっくりだ。 |
| pentax *istD F5.6 1/45 iso200 |
![]() |
![]() |
| スミツキカノコ 岩陰にじっとしていた。 キンメダイの仲間だという。 |
ホンソメワケベラ 普段は大型魚の口やエラを掃除して いるが、今日はひとりで休暇中らしい。 |
| pentax *istD F5.6 1/90 iso800 | pentax *istD F5.6 1/45 iso800 |
![]() |
| ネムリブカ 小型のサメだ。眠っているのか。それにしても獰猛な顔。 |
| pentax *istD F5.6 1/30 iso800 |
![]() |
| 仲良く安全停止 青木さん(左)と私。 |
![]() |
| インストラクター 明るく元気いっぱいのイントラ達。帰りの船はものすごい波で写真はぶっ飛んでしまった。 |
![]() |
| ダイブ後の交歓会 同じホテルに宿泊したダイブ仲間の交歓会。二人のイントラを交えての飲み会だ。 若い女性のパワーには圧倒される。この日の女性軍は関西系が多く、 キャピキャピの関西弁でおおいに盛り上がった。 |
![]() |
![]() |
| ホテルザビーチ | マリンサービスはアイランドメッセージ |
| *国府物語 | *癌病棟からメリークリスマス | *私の自分史 |